El Tiempo

El gran Santo Domingo continuará con lluvias y tormentas eléctricas la noche de este jueves

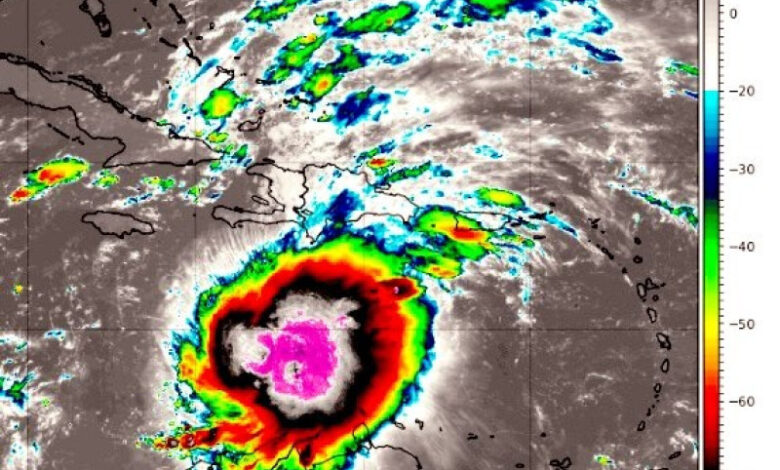
Nubes generadoras de aguaceros con tormentas eléctricas y aisladas rafagas de viento, afectando especialmente el Gran Santo Domingo y otras provincias bajo alerta.Fuente externa

El Indomet precisó que a través de imágenes satelitales se observan nubes generadoras de aguaceros con tormentas eléctricas y aisladas rafagas de viento, afectando especialmente el Gran Santo Domingo y otras provincias bajo alerta.

Jueves 23 de octubre del 2025

El Instituto Dominicano de Meteorología (Indomet) indicó que durante el resto de la tarde y la noche de este jueves continuarán registrándose fuertes aguaceros, producto de la incidencia directa de la tormenta Melissa. 

El Indomet precisó que a través de imágenes satelitales se observan nubes generadoras de aguaceros con tormentas eléctricas y aisladas rafagas de viento, afectando especialmente el Gran Santo Domingo y otras provincias bajo alerta. 

“A través de la imagen del satélite meteorológico observamos como nubes generadoras de aguaceros fuertes con tormentas eléctricas y aisladas ráfagas de viento están afectando diferentes localidades del Gran Santo Domingo, entre otras provincias bajo los niveles de alerta y aviso meteorológico, debido a la incidencia indirecta de la tormenta tropical Melissa”, publicaron en la red social X (antiguo Twitter).

En horas más tempranas, el director del Centro de Operaciones de Emergencias (COE), Juan Manuel Méndez llamó a la población a no descuidarse y estar atenta a las informaciones ofrecidas por los organismos de socorro del Estado, respecto a la trayectoria y efectos de la tormenta tropical Melissa sobre el país.

Se espera que debido al campo nuboso que se encuentra sobre el territorio nacional, las lluvias sean más intensas durantes este jueves y viernes.

Melissa ha disminuido sus vientos máximos a 75 kilómetros por hora y su velocidad a 4 kilómetros por hora y se encuentra aproximadamente a unos 450 kilómetros al suroeste de Puerto Príncipe (Haití) y a 355 kilómetros de Kingston (Jamaica).

Alertas

En alerta roja mantienen 9 provincias, siendo estas Barahona, San Cristóbal, Santo Domingo, Distrito Nacional, San José de Ocoa, San Juan, Azúa, Peravia y Pedernales.

La alerta roja significa que esa determinada demarcación está expuesta a un mayor peligro ante el paso del fenómeno atmosférico; las autoridades recomiendan a los moradores de esas provincias, a poseer su “bulto” de emergencia a mano y encontrarse en un lugar seguro antes y durante el impacto de la tormenta.

En alerta amarilla se encuentran La Vega, La Romana, Hato Mayor, El Seibo, Samaná, San Pedro de Macorís, Monseñor Nouel, Sánchez Ramírez, La Altagracia, Elías Piña, Monte Plata, Independencia y Bahoruco.

Se coloca la alerta amarilla cuando la tendencia ascendente del desarrollo del evento implica situaciones inminentes de riesgo y situaciones severas de emergencia; la misma llama a la población de esas áreas a dirigirse a un lugar seguro en caso de que se encuentre en una zona de riesgo.

Mientras que en alerta verde María Trinidad Sánchez, Santiago y Duarte.

La alerta verde se declara cuando las expectativas de un fenómeno permiten prever la ocurrencia de un evento de carácter peligroso para la población, ya sea parcial o total.

En ese sentido, se recomienda a las personas abstenerse de cruzar, ríos, arroyos y cañadas que presenten altos volúmenes de agua en las provincias bajo alerta.

(LD)

Gustavo Morillo Montero

Programa y Portal Digital Con mi Pueblo, Políticas y algo más.

Publicaciones relacionadas

Deja una respuesta

Tu dirección de correo electrónico no será publicada. Los campos obligatorios están marcados con *

Botón volver arriba